| 时间:2021-12-29 | 编辑:E航网 | 阅读:1655 | 分享: |
点击蓝字“船机帮”关注我们
船机故障心莫慌,遇事不决船机帮
导读
目前,在船用柴油机使用过程中,因为长期处于高温、高湿、高盐的工作环境中,设备的润滑状态好坏主要是由油液的理化性能决定的,因此开展润滑油的理化性能分析,以判断设备的润滑状态是否符合设备的使用要求能最大程度上保证船用柴油机的安全。
一
润滑油理化性能及对柴油机的影响
对于船用柴油机反映油液物理性能的检测指标很多。
从油液监测和润滑管理的角度介绍对设备润滑状态有着直接影响的物理性能指标。
这其中主要有:
粘度、粘度指数、水分、闪点、凝点和倾 点、机械杂质、不溶物、斑点测试、抗氧化性、抗乳化性、抗泡沫性、抗磨性和极压性能等。
从实用性出发,主要检测柴油机润滑油的粘度、水分、闪点、不溶物即可。
1.粘度
粘度是润滑油油膜形成好坏的主要决定因素,如果粘度过低难以形成稳定的油膜,抗磨作用差。而粘度过高则导致摩擦阻力大,启动困难、流动性差、不能起到有效的冷却作用。
2.水分
水分表示油品中含水量的多少,用重量百分比或体积百分比表示。
润滑油中水分一般呈游离水、乳化水和溶解水三种状态存在。
一般来说,游离水比较容易脱去,而乳化水和溶解水都不易脱去。
润滑油中含水量超标主要的危害有:
破坏油品的低温流动性,降低其抗氧化性能和润滑性能等。
3.闪点
润滑油(或燃油)的蒸汽与空气所形成的混合气与火焰接触发生瞬间闪火时的最低温度成为闪点。
闪点又分为开口闪点和闭口闪点。
开口闪点用于重质润滑油和深色润滑油闪点的测定,闭口闪点用于轻质润滑油和燃料油的闪点测定,一般情况下,开口闪点要比闭口闪点高出20~30℃。
闪点降低的主要原因是燃油混入润滑油系统和润滑油劣化变质。
4.不溶物
不溶物指标是指在用润滑油中不溶于正戊烷或甲苯溶剂的物质含量。
不溶物的多少能反映在用润滑油的污染和劣化情况。
不溶物按其溶剂溶解性分类为正戊烷不溶物和甲苯不溶物两类。
正戊烷不溶物主要指油中磨损金属颗粒、粉尘杂质、积炭等固体物质;以及油品裂解、降解产生的树脂状物质。
甲苯不溶物则主要指油中的磨损金属颗粒、粉尘杂质和积炭等固体物质。
在用油正戊烷不溶物和甲苯不溶物的差值能反映油品裂化衰败的程度,从而反映油品的润滑效能。
内燃机组油液在线监测
二
润滑油理化性能对柴油机影响实例
在对某船送检的一批油样进行常规理化分析中,发现该船右边柴油机润滑油舱润滑油有进水迹象,采用DL32/DL39卡尔菲休库仑 滴定仪对该柴油机在用润滑油油样进行了水分分析,分析结果表明油样水分含量为0.379%,超过标准。
上文说到,润滑油中含水量超标主要有破坏油品的低温流动性、降低其抗氧化性能和润滑性能等危害,为了了解润滑油含水超标给柴油机带来的损害,采集了与该油样同批次的新油(取自备用润滑油舱),采用M型油料分析光谱仪进行了数据对比分析结果如表1所示。
从表1中可以看出,新油中铁、铜、铅等金属元素含量均在规定范围内。
而旧油中铁、铜、铅、铝元素都已经超标。
因此滑油中进水导致油品劣化变质,油膜建立能力下降,造成了柴油机的非正常磨损。
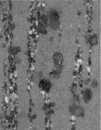
为了进一步了解确定柴油机磨损类型和程度,对该柴油机在用润滑油进行了铁谱分析,结果见图1。
图1(a)正常磨粒链上附着的大量桔红色三氧化二铁
图1(b)铜质滑动磨损颗粒
图1是在500倍下得到的铁谱谱图。
图1(a)表明润滑油中进水,谱片铁系正常磨粒链上附着了大量的桔红色三氧化二铁团状颗粒;
图1(b)为一铜质滑动磨损颗粒。
铁谱谱图分析表明润滑油中进水,导致难以建立稳定的油膜而产生润滑不良,该船右柴油机摩擦副已经发生了滑动、疲劳磨损,如果不及时消除故障隐患,将导致柴油机损坏。
因此,通过以上分析可以确定,因为该船右边柴油机在润滑油漏入大量水,油膜建立困难,导致润滑不良,摩擦副已经发生了粘 着、疲劳磨损,使铁、铜元素含量超标。
三
结束语
油液监测技术将采集到的设备润滑油,利用光、电、磁等手段,分析其理化指标,从而获得机器的润滑和磨粒状态信息,定性和定量地描述设备的磨损状态,找出诱发因素,评价机器的工况和预测其故障,并确定故障的部位、原因和类型。
在日常生产过程中起到重要作用。
本文原创作者系:
92601部队 向志伟 黄 幸
END
来源:船机帮
电话:025-85511250 / 85511260 / 85511275
传真:025-85567816
邮箱:89655699@qq.com



